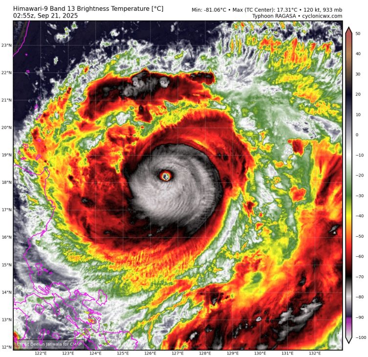
Super tajfun Nando (Ragasa-25) je trenutno najmočnejša nevihta na svetu letos. Ob prehodu čez otok Calayan na Filipinih je razkril popolno oko, sunki vetra pa so po hitri okrepitvi dosegli kar 269 km/h. Skoraj 10 milijonov ljudi je v dosegu orkanskih vetrov, na tisoče pa jih je že evakuiranih. Opozarjajo na nevihtni val do 3 metre, medtem ko se na udar pripravljajo Hongkong, Tajvan in južna Kitajska.
Tudi brez neposrednega kopenskega vdora tajfun prinaša poplave, zemeljske plazove in življenjsko nevarne razmere.
Trenutna hitrost vetra je ocenjena na okrog 215 km/h konstantno, sunki lahko dosežejo do 265 km/h.
Pot tajfuna: premika se zahodno od otokov Babuyan (Cagayan, Filipini), nato proti jugu Kitajske ter obale Hong Konga in Tajvana.
Pričakuje se, da bo Ragasa začel izgubljati moč, ko bo prešel nad hladnejšim morjem in/ali ko ga bodo prizadele atmosferske motnje, a to naj ne bo prepreka velikim uničenjem, predvsem zaradi poplav, vetrov in nevihtnih valov.
